Guilderland
Historical
Society
- Guilderland properties listed in the
National Register of Historic Places - Gardner House
Gardner House house front elevation (August 2025).

Photos of Gardner House in the 1982 NRHP nomination document
click on an image to obtain full size view

1. Gardner House view from northeast
2. Gardner House southwest
elevation

3. detail of smokehouse
Text information from NRHP nomination of 1982
Gardner House entered on the NRHP 10 November 1982
Application file # 30; National Register Guilderland Multiple
Resource Area # 7.
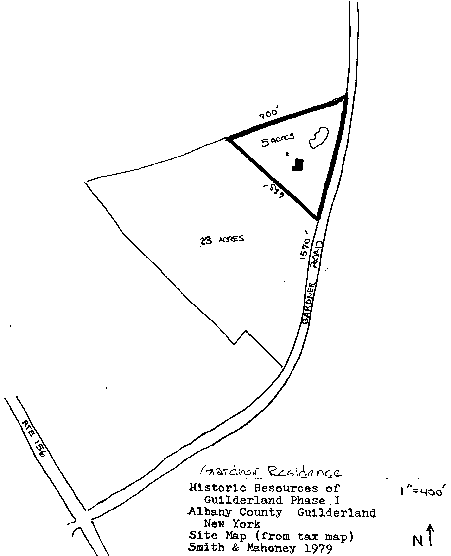
The house is set back from Gardner Road on a grassy knoll retaining
its original setting. The arbitrary boundary forms an area of
approximately five acres, which preserves the setting and includes
the smokehouse.
Features: Second Empire style farmhouse; mansard roof with
dormer windows; bracketed cornice; one-story porch on front
embellished with carved and sawn brackets; interior retains the
original woodwork and highly decorated mantels of marblized slate.
Date of initial construction: ca. 1875
Historical and Architectural importance: The structure was
built for Judge Gardner and his family for whom Gardner Road is
named. The building is an exceptional example of the Second Empire
style. It is in excellent condition and is distinguished by a
variety of rich details. The sole unaltered example of the Second
Empire style in Guilderland, the building survives amidst modern
suburban development. Both the interior and exterior details remain
intact. Relative to its surroundings, the Gardner residence stands
out as an extraordinary structure. The modest smokehouse contributes
to the character of the building.
Gardner
House NRHP nomination document (10MB pdf)
map location from NRHP document (#30 Gardner
House) site map with building locations from 1979 tax
map
Google Earth kml
file
Guilderland NRHP properties
Guilderland Historian
Guilderland Historical Society